6
  • Property Type
  • Land

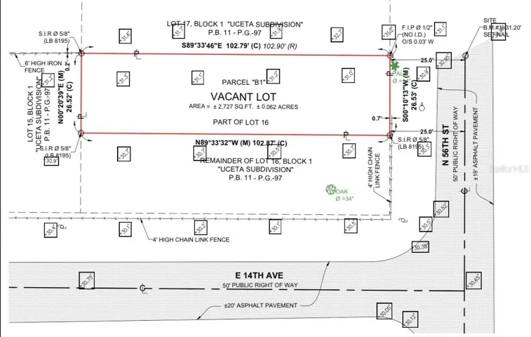
2500 N 56TH STREET, Tampa, FL 33619

  • $73,900

Description

Prime Tampa development opportunity! This property is one of four contiguous parcels being sold together, presenting an excellent opportunity for builders and investors seeking a cohesive development site. A comprehensive due diligence package is already in place, including surveys, building permits, site layout, unit elevations and floorplans, utility (UTL) numbers, vertical construction plans, approved utility plans, recorded zoning covenants, and updated folios and parcel IDs post lot split. Turnkey development setup with significant pre-planning completed.

Please contact Co-Agent Sydney Hodge for additional details.

  • Address: 2500 N 56TH STREET
  • City: Tampa
  • State/county: FL
  • Zip/Postal Code: 33619
  • Country: US

Details

Atualizado em abril 18, 2026 no 5:01 am
  • Property ID TB8499133
  • Price $73,900
  • Land Area 0.06 m²
  • Garage Size x x
  • Property Type Land
  • Property Status Active, For Sale

Additional details

  • Listing Terms Cash,Conventional,FHA
  • Utilities Public
  • Sewer Public Sewer
  • County Hillsborough
  • Property Type Land

Mortgage Calculator

360° Virtual Tour

Similar Listings

Compare listings

Comparar